珍獣の館TOP珍獣様の博物誌虫ばっかり目次>現在地
  
写真

写真

写真

和名 コマユバチの一種?
科名 科
学名 
中名 
別名 

撮影日
 2008/06/30
 2008/07/05〜09
撮影地 東京都葛飾区

特徴
・白い綿につつまれている。
・綿をかきわけると中に無数の幼虫か、繭が入っている。

 カイヅカイブキの枝に白い綿のようなものがあるのに気づいて、綿を剥いてみたとろ、ウジ状の白い虫が大量に出てきた。数は確認していないが、20頭くらいいるように見える。この時は出先で持ち帰る準備がなかったので捨てて帰ってしまった。

 チョウやガではなさそうなので、ハチかハエの幼虫だと思う。

写真

写真

写真

 数日後に、自宅のまわりでも同じものを見つけた。きれいな白い綿状なので、最初はなんのゴミだろうと思うが、同じ形のものが無数に落ちている。落ちてるところを写真に残さなかったのはちょっと残念だ。

 綿を剥いてみたところ、今度はウジではなく、米のような白い粒が大量に入っていた。粒は固く、少し押したくらいでは潰れそうもなかった。

 状況から考えて、先日のウジの卵か、もしくは繭なんだけれど、繭ならば放っておけば成虫になって出てくるはずだし、卵だとしても、この綿の中に餌はなさそうだから、いずれはウジ虫の姿ではい出してくるはずである。

 どちらにせよ、出てくるのはごく小さな虫なので、密閉できるタッパーに入れてきっちり蓋をして様子を見ることにした。特に空気穴などはあけていない。

写真

写真

写真

写真

写真

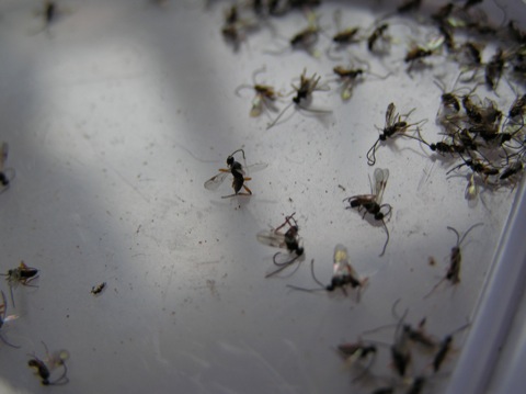
 4日後に早くも変化があった。タッパーの中に小さなハチの成虫が大量に発生していた。どうやらコマユバチの一種らしいが、種名まではわからない。

 コマユバチで有名なのは、モンシロチョウの幼虫に寄生するアオムシコマユバチだが、それは幼虫の体のまわりで繭になるので、本種とは違うようだ。綿につつまれた繭をいくつも見たが、そのまわりに宿主がいるのを一度も見たことがない。おそらく宿主から離れてから、集団で糸を吐いて綿玉を作り、中で蛹になるのではないかと思う。

 秋口に同じようなものを見たという人をmixiで見かけたので、年に二度くらい発生するかもしれない。

 コマユバチの見分け方をご存じの方は、ブログにコメントを残してくだされば幸いです。ハチはまだタッパーに入れたまま持っています。

 
珍獣の館TOP間違いとかあったらここに書いて(ブログへ)|